Llamado para concienciar y trabajar en prevenir el sinhogarismo
Por Redacción Es Noticia
redaccion@esnoticiapr.com
En el Día Nacional para la Visibilización, Sensibilización y Concientización de las Personas Sin Hogar en Puerto Rico, que se conmemora...
PPD se compromete a delegar funciones a los municipios
Por Redacción Es Noticia
redaccion@esnoticiapr.com
El candidato a gobernador por el Partido Popular Democrático (PPD), Jesús Manuel Ortiz, prometió implementar una política pública de descentralización para...
Proyectos completados en Salinas superan los $18 millones
Por Redacción Es Noticia
redaccion@esnoticiapr.com
La alcaldesa de Salinas, Karilyn Bonilla Colón, informó que 60 proyectos de reconstrucción fueron completados con una inversión que alcanza los...
Ponce recibe visita de ejecutivos de la industria de cruceros
Por Redacción Es Noticia
redaccion@esnoticiapr.com
La administración municipal de Ponce recibió hoy -martes- a un grupo de altos ejecutivos de la industria de cruceros, como parte...
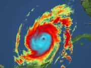
Huracán Milton se acerca a Florida: se debilita un poco pero crece en tamaño
Por Redacción Es Noticia
redaccion@esnoticiapr.com
El Servicio Nacional de Meteorología (SNM) de los Estados Unidos informó que el huracán Milton, actualmente de categoría 4, ha experimentado...
LUMA aclara sobre interrupciones de servicio y aumentos en facturas
Por Redacción Es Noticia
redaccion@esnoticiapr.com
LUMA Energy emitió un comunicado hoy en el que abordó los eventos que causaron interrupciones en el servicio eléctrico el pasado...
Vehículo impacta poste en Villalba provocando interrupciones de luz, informa LUMA
Por Redacción Es Noticia
redaccion@esnoticiapr.com
La empresa LUMA Energy informó sobre un incidente ocurrido en el municipio de Villalba, donde un vehículo impactó un poste, lo...
Zeus dio con paradero de mujer desaparecida hace 12 días
Por Sandra Caquías Cruz
redaccion@esnoticiapr.com
"No me hagan daño". Esa fue la petición y primera reacción de Elizabeth Judy González Toro cuando el can Zeus (nombre...
Causa para arrestar veterinario fatulo
Por Redacción Es Noticia
redaccion@esnoticiapr.com
Un juez encontró causa para arrestar a Erwin Cruz Jiménez, quien se hizo pasar por veterinario y ocasionó la muerte de...
AAA anuncia trabajos de optimización en el pozo Altos de la Bandera en Adjuntas
Por Redacción Es Noticia
redaccion@esnoticiapr.com
La Autoridad de Acueductos y Alcantarillados (AAA) informó que a partir de hoy, lunes 7 de octubre, se realizarán trabajos de...






























































